207 7 Mile Nw, Comstock Park, MI 49321

$575,000
  • 207 7 Mile Nw, Comstock Park, MI 49321 Main Photo

6 Total Photos [Click to View All]

Active
LOT SIZE 17.400 acres MLS#26001869
STATUSActive PROPERTY TYPELand - Farm SCHOOLKenowa Hills

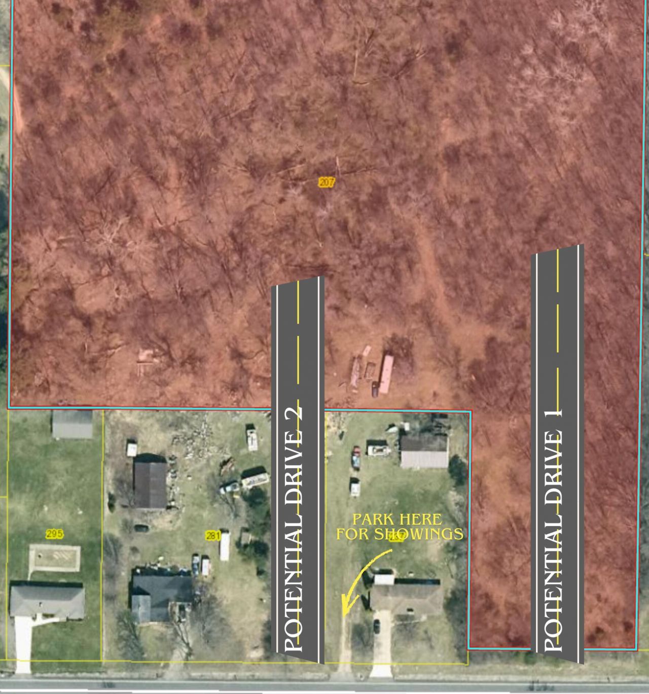
Property Description

Rare opportunity to own 17.08 acres in Alpine Township on 7 Mile Rd NW within the Kenowa Hills School District, conveniently located near Comstock Park and Sparta. This private, versatile parcel offers multiple building and development options. Approved access options include a driveway from the property frontage or a negotiable access point from 281 7 Mile Rd, both reviewed by Alpine Township and the Kent County Road Commission (see attached). R-1 zoning allows the parcel to remain intact or be split into up to 3 residential lots with a shared gravel road and emergency vehicle turnaround. Public water available at the road. City sewer approx. 1,500 feet away (not scheduled for extension through 2029). Seller willing to pursue 2-3 splits for qualified buyers.

207 7 Mile Nw | MLS# 26001869

This land located at 207 7 Mile Nw, Comstock Park, MI 49321 is currently listed for sale with an asking price of $575,000. The property has approximately 17.40 Acres. 7 Mile Nw is located within the Kenowa Hills school district. Search Comstock Park real estate on www.darrellrealestate.com today.

Property Features

Property Type: Land - Farm
Lot Size: 17.40 Acres
Taxes: $794

Feature Descriptions

Current Use: Residential
Days on Site: 55
Lot: Level, Site Condo, Buildable, Building, Wooded
Lot Dimensions: 181.5x1332.66x673.57x1033.3x48
Parcel Number: 41-09-13-400-039
Sub Type: Acreage
Utilities: Natural Gas Available, Electricity Available, Cable Available, Phone Available, None
Water: Public
Wooded: Yes

Local Schools

School District: Kenowa Hills

Listed By / Shown By

Listed By

Agency Name: Bellabay Realty (North)
Agency Phone: 616-719-1022
Agent Name: Ashley Bodell

agent picture

Shown By

Agent Name: Darrell Blausey
Agent Phone: (419) 351-1525
Agency Title: Key Realty

IDX logoThe property comes from the Member MLS's of the Michigan Regional Information Center, LLC (MichRIC). Copyright 2026 Michigan Regional Information Center, LLC (MichRIC). All rights reserved. Information deemed reliable, but not guaranteed. Data Last Updated 03/12/2026.

Estimate Your Payment

Estimated Payment

$ 3,450.26 per month $3,216.39 Principal & Interest $66.17 Property Tax $167.71 Homeowner's Insurance

Change Payment Information

%
years/fixed
yearly
yearly (est.)
(Payments are an estimate and may vary by lender)

Login to My Homefinder

Pixel